




$456,000
Est. $2,554/mo459601 0119 Prapi Court, Adelanto, CA 92301
About this home
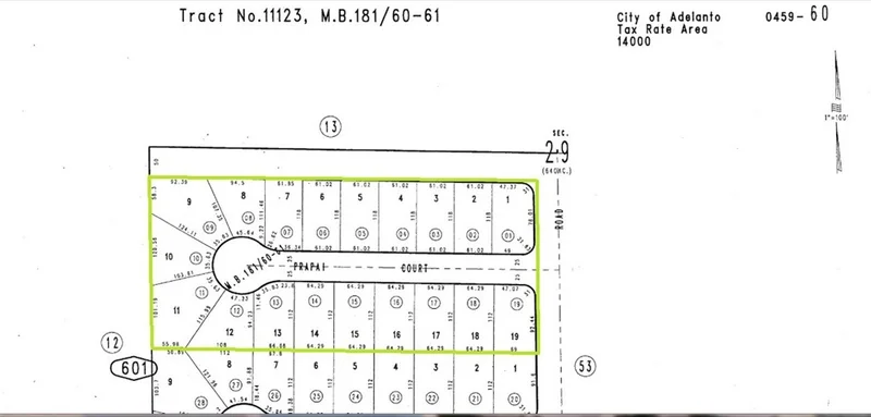
*** Come VIEW and MAKE an OFFER TODAY! Amazing LAND OPPORTUNITY in EXPANDING ADELANTO, CA. Located on the SW Corner of Bartlett Ave and Verbena Rd, the 3.25 ACRE site offers 19 UNITS, SEE TRACT MAP #11123. Positioned in the heart of town, adjacent to utilities, and close to Hwy 395 the lots are ready for development. Each parcel in the package is priced under $25K, and with the average Adelanto sale price climbing up to $400K, there is tons of potential for lucrative returns. A definite must see OPPORTUNITY, worthy of serious consideration, before it’s too late.*****(19 APNs sold as a package: 0459-601 01, 02, 03, 04, 05, 06, 07, 08, 09, 10, 11, 12, 13, 14, 15, 16, 17, 18, and 19)
infoProperty Facts
Lot Size
141,570 sqft
Days on Market
854
HOA Fee
N/A
MLS #
HD23044238
chairInterior Details
garageParking
deckExterior & Lot
Lot & Grounds
Lot Features
Paved, Level
Sewer
Public Sewer
Water Source
Public
diversity_3Community & HOA
Association Info
Community Features
Curbs
Mortgage Calculator
$0
Nearby Schools
| Rating | School Name |
|---|---|
9 | GreatSchools High (Demo) public School • ratio 22:1 |
7 | Valley View Elementary (Demo) public School • ratio 18:1 |
6 | Lincoln Middle School (Demo) public School • ratio 20:1 |
NR | St. Mary Example Academy (Demo) private School • ratio 12:1 |
Walkability
Market Insights
Estimated Value
Market Temperature
Balanced market
Avg. time on market
This is a Balanced Market. Homes are selling at a moderate pace.
Similar Homes You Might Like
Based on price, location, and features