
$55,000
Est. $308/mo0 Helendale Road, Adelanto, CA 92301
About this home
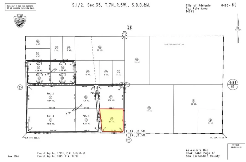
±8.6 acres of unimproved residential land at the corner of Desert Flower and Helendale Rd in Adelanto; APN: 0460-601-22. Zoned Desert Living (DL-9) this lot permits for the development of 1 dwelling unit per 9 acres. This location is also within a Qualified Opportunity Zone and eligible for potential tax benefits. This site abuts the Southern California Logistics Airport. The Airport recently completed approximately 4MM square ft of expansion and is now home to major global leaders of industry such as Amazon, Boeing, GE Aviation, Kuerig Dr. Pepper, M&M/Mars, Newell Rubbermaid, and more. As an extension of the Inland Empire, the High Desert continues to grow with millions of square feet of planned industrial and tens of thousands of housing units under construction. Buyer to verify all information contained herein. Agent and their representatives are not responsible for the accuracy of these claims.
infoProperty Facts
Lot Size
374,616 sqft
Days on Market
483
HOA Fee
N/A
MLS #
HD24200401
chairInterior Details
garageParking
deckExterior & Lot
Lot & Grounds
Lot Features
No Landscaping
Water Source
See Remarks
diversity_3Community & HOA
Association Info
Community Features
Rural
Mortgage Calculator
$0
Nearby Schools
| Rating | School Name |
|---|---|
9 | GreatSchools High (Demo) public School • ratio 22:1 |
7 | Valley View Elementary (Demo) public School • ratio 18:1 |
6 | Lincoln Middle School (Demo) public School • ratio 20:1 |
NR | St. Mary Example Academy (Demo) private School • ratio 12:1 |
Walkability
Market Insights
Estimated Value
Market Temperature
Balanced market
Avg. time on market
This is a Balanced Market. Homes are selling at a moderate pace.
Similar Homes You Might Like
Based on price, location, and features