
2373 Sea Life Place, Salton City, CA 92275
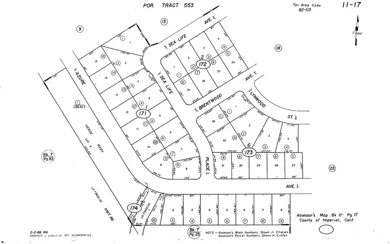
The address associated with this parcel is 2373 Sea Life Pl, Salton City CA 92274. What is reflected is the Parcel# 011-171-003-000 which is +/-0.2341 Acres. Zoning is R-1. Located in the area of Salton City which is Unincorporated Imperial County. Access via dirt Sea Life Pl.
Lot Size
10,198 sqft
Days on Market
160
HOA Fee
N/A
MLS #
IG25133975
Lot Features
Desert Front
Rural
$0
| Rating | School Name | ||
|---|---|---|---|
| No school data available for this area. | |||
Balanced market
Avg. time on market
This is a Balanced Market. Homes are selling at a moderate pace.
Flood Risk
Minimal — not in a FEMA flood zone
Wildfire Risk
Moderate — near wildland-urban interface
Heat Risk
Low — moderate summer temperatures
Earthquake Risk
Southern California seismic zone
Based on price, location, and features
Topfind Realty, DRE # 02240815, is a licensed real estate broker in California. Topfind Realty pledges to support the Fair Housing Act and adhere to Equal Housing Opportunity laws.
Copyright © 2026 Topfind Realty. All Rights Reserved.