




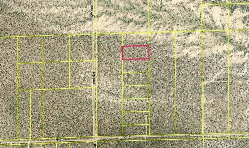
0 Sopp Road, Mojave, CA 93501
1.27 acres for sale in Mojave just north of Rosamond near the corner of Sopp Rd and 30th St W. Buyer to verify utilities.
Lot Size
55,321 sqft
Days on Market
101
HOA Fee
N/A
MLS #
HD25281631
Lot Features
Level
Hiking
$0
| Rating | School Name | ||
|---|---|---|---|
| No school data available for this area. | |||
Balanced market
Avg. time on market
This is a Balanced Market. Homes are selling at a moderate pace.
Flood Risk
Minimal — not in a FEMA flood zone
Wildfire Risk
Moderate — near wildland-urban interface
Heat Risk
Low — moderate summer temperatures
Earthquake Risk
Southern California seismic zone
Based on price, location, and features
Topfind Realty, DRE # 02240815, is a licensed real estate broker in California. Topfind Realty pledges to support the Fair Housing Act and adhere to Equal Housing Opportunity laws.
Copyright © 2026 Topfind Realty. All Rights Reserved.