


$148,800
Est. $833/mo0 Plato Street, Adelanto, CA 92301
About this home
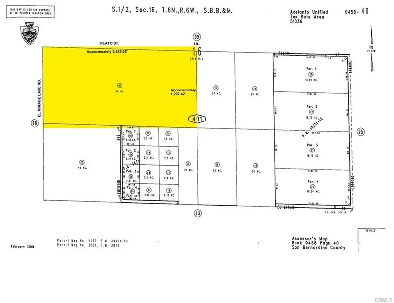
Close to 395 Freeway! Located in El Mirage and close to El Mirage Rd,(APN 0458-401-010-000) Zoned Rural Living , This 80 acre vacant land with water rights...Drill your own well and live off the grid. Buyer to verify all the informations with City and County!
infoProperty Facts
Lot Size
3,484,800 sqft
Days on Market
272
HOA Fee
N/A
MLS #
IV25068321
chairInterior Details
garageParking
deckExterior & Lot
Lot & Grounds
Lot Features
Desert Back, Desert Front
Water Source
None, See Remarks
diversity_3Community & HOA
Association Info
Community Features
Rural
Mortgage Calculator
$0
Nearby Schools
| Rating | School Name |
|---|---|
9 | GreatSchools High (Demo) public School • ratio 22:1 |
7 | Valley View Elementary (Demo) public School • ratio 18:1 |
6 | Lincoln Middle School (Demo) public School • ratio 20:1 |
NR | St. Mary Example Academy (Demo) private School • ratio 12:1 |
Walkability
Market Insights
Estimated Value
Market Temperature
Balanced market
Avg. time on market
This is a Balanced Market. Homes are selling at a moderate pace.
Similar Homes You Might Like
Based on price, location, and features